Shroud of Turin
| Christ died for our articles about Christianity |
| Schismatics |
| Devil's in the details |
v - t - e
|
“”The two attributes central to the shroud’s alleged religious significance — that it wrapped the body of Jesus, and is of supernatural origin — are precisely those neither science nor history can ever prove.
|
| —Philip Ball, Nature (May 2008) |
The Shroud of Turin, also known as the Holy Shroud, is a length of linen cloth claimed by some members of the Christian community to have been Jesus' death shroud.[1]
The first certain mention of it comes from the 14th century when Bishop Pierre d'Arcis wrote a memorandum to antipope Clement VII in which he stated that the shroud was a fraud and that the forger had confessed.[2][3] Radiometric dating established that the shroud dates from 1260–1390[4], which coincides with the date of the memorandum. Even if the shroud was authentically proven to come from 1st century Judea, this would only show that someone was crucified, and crucifixion as a common punishment at the time has never been disputed[5] (at least by sane people who know what they're talking about). There would be no reason to presume it was Jesus in particular.
The Catholic Church, which currently owns it, neither endorses nor rejects it. Why own something that might be bullshit? Oh, that's right, the tourism dollar$. Pope Francis referred to the shroud as an "icon of a man scourged and crucified".[6] Benedict XVI was much more confident in claiming that it is authentic.[7] This papal declaration would appear to be "authoritative but non-infallible".[8]
Sindonology is the study (if you can call it that) of the Shroud of Turin. Although in principle it is meant to be scientific, it instead often promotes pseudoscientific hypotheses and already debunked claims (imagine that!).[9]
Appearance
General information
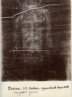
The Shroud is rectangular, measuring some 4.4 by 1.1 meters (14'5" × 3'7").[note 1] The cloth (specifically linen) is woven in a three-to-one herringbone twill composed of flax fibrils. It shows faint but distinctive sepia images of the front and back of a naked man with his hands folded across his groin. The body image is muscular and 1.70 to 1.88 meters, or about 5'7" to 6'2", tall, with wound points as though they could have been caused by the process of crucifixion, but there is no generally accepted theory to explain how the image was actually impressed onto the cloth in the first place.[10][11]
The shroud contains lots of holes and burnt edges as it's been through at least two fires, the last one in 1997.[12] The holes are the strange triangles. They are actually just one hole caused by a drop of molten silver from the reliquary onto the folded shroud, which is what makes them so symmetrical.
The image itself is much clearer in black and white negative (because it then looks like a positive with the dark theme turned on), which was first observed in 1898.[13] While one might infer from this that the surge of divine power involved in Jesus' resurrection burned a negative image onto the cloth, it should be noted that this relies on the notion of the quality of an object or person being "Holy" actually having the added side effect of emitting an abundance of photons, a trope which in actuality probably just originated as a means of visually representing holiness in artwork (barring the occasional out-and-out sun god of course).
Anatomy
The image of the man has drawn lots of controversy about its anatomical accuracy. Joe Nickell and Gregory S. Paul have separately stated that the face and proportions of the shroud image are impossible, that the figure cannot represent that of an actual person and that the posture was inconsistent. They argued that the forehead on the shroud is too small; and that the arms are too long and of different lengths and that the distance from the eyebrows to the top of the head is non-representative.[14][15]
Furthermore, all the archaeological evidence of crucified people we have found, and there are only a few,[note 2] shows that the heel wounds are consistent with each other, but are not consistent with the wounds depicted on the shroud.[16]
In 2018 a Bloodstain Pattern Analysis (BPA) was performed to study the behaviour of blood flows from the wounds of a crucified person, and to compare this to the evidence on the Turin Shroud. The study showed that the blood patterns on the forearms and on the back of the hand are not connected, and would have had to occur at different times, as a result of a very specific sequence of movements. Similar abnormalities have been found between the front of the image and the lumbar area which might even suppose that there might have been different episodes of bleeding at different times.[17] Yet another study determined that the blood patterns on the shroud were not consistent with a crucified person being wrapped up in the sheet.[18] God has clearly done it to trick us!
History
Little reliable information is known of the shroud before the 15th century, beyond it being present in France in the 14th century.[19] In 1453 Margaret de Charny deeded it to the House of Savoy. In 1532 the shroud suffered damage from a fire, several people attempted repairing it.[20][21] In 1578 the then-Duke transferred it to Turin where it has remained ever since as a property of the House of Savoy.[22] In 1983, the Savoy heirs gave it to the Holy See, who had it restored in 2002 which has been criticized as causing damage to the shroud.[23]
Pre 14th century
The radiometric dating established that the shroud dates from 1260–1390.[4] That doesn't stop many people from associating the shroud with some other shrouds and hence making very dubious stories about it. There are, of course, many reports of Jesus' burial shroud, images of his face etc., being venerated before the 14th century, but there is no evidence to presume that any of these reports referred to the Shroud of Turin.[24]
There are numerous mentions of some shroud in the bible and other apocrypha texts. Luke 24:12 states:
Peter, however, got up and ran to the tomb. Bending over, he saw the strips of linen lying by themselves, and he went away, wondering to himself what had happened. (NIV)
John 20:4-7 mentions two clothes, which some people take as evidence against the authenticity of the shroud:
Both were running, but the other disciple outran Peter and reached the tomb first. He bent over and looked in at the strips of linen lying there but did not go in. Then Simon Peter came along behind him and went straight into the tomb. He saw the strips of linen lying there, as well as the cloth that had been wrapped around Jesus’ head. The cloth was still lying in its place, separate from the linen. (NIV)
Other mentions can be found in Matthew 27:59, Mark 15:46 and Luke 23:53. They all use the singular greek word σινδόνι meaning "linen cloth". Luke 24:12 and John, however, use the greek plural word ὀθόνια which means "linen clothes".[25] The Gospel of Hebrews
, a 2nd century apocryphic text also mentions a burial linen cloth.[26]
It shouldn't be surprising that various people throughout the ages have claimed to possess the shroud. In fact, the practice of faking holy relics was widespread during the Middle Ages.[27] The first undisputed mention of the Shroud is a very skeptical 1390 report from French Bishop Pierre d'Arcis to then Antipope Clement VII denouncing the Shroud as a fraud and indeed had found the Shroud's maker to prove it.[2][note 3]
One of the many images of Jesus known as the Image of Edessa
which existence is reported since the sixth century is sometimes claimed to be the Shroud of Turin.[28] However, nothing suggests that it contained the image of a beaten and bloody Jesus, it was said to be an image transferred by Jesus to the cloth in life, and it is generally described as depicting only the face of Jesus, not the entire body.[29][30]
The Pray Codex
, a manuscript written in Hungary between 1192 and 1195, includes an illustration of what appears to some to be the Shroud of Turin.[31] The picture supposedly includes a burial cloth in the post-resurrection scene and according to proponents of this hypothesis, the holes on the cloth form an "L" shape which can also be spotted on the actual Shroud of Turin.[32] On the other hand, Italian Shroud researcher Gian Marco Rinaldi and other skeptics interpret the item that is sometimes identified as the Shroud as a probable rectangular tombstone as seen on other sacred images. The alleged holes might just be decorative elements, as are also seen on the angel's wing and clothes. Rinaldi also points out that the alleged shroud in the Pray Codex does not contain any image.[33]
In the beginning of the 13th century, a knight who participated in the Fourth Crusade claimed that a the burial cloth of Jesus was in Constantinople and that every Friday it raised itself up. The claim of levitation of the cloth is, however, probably a mistranslation.[34] However, the knight might have actually seen the handkerchief of Saint Veronica (which also purportedly contained the image of Jesus), and confused it with the grave cloth.[35]
Overall, there is no credible and reliable evidence that the Shroud of Turin existed before the date that has been established by radiocarbon dating. Although there were many alleged cloths of Jesus before that, there is no reason to connect the actual Shroud with any of them.
14th and 15th centuries
The first certain mention of it comes from the 14th century. The first mention of the shroud, a memorandum of Bishop Pierre d'Arcis, states that it was a forgery and that the forger had confessed. The bishop that his predecessor Henri de Poitiers was concerned that no such image was mentioned in scripture already denounced the shroud. d'Arcis wrote:
Eventually, after diligent inquiry and examination, he discovered how the said cloth had been cunningly painted, the truth being attested by the artist who had painted it, to wit, that it was a work of human skill and not miraculously wrought or bestowed.[36][37]
The letter provides an accurate description of the cloth: "upon which by a clever sleight of hand was depicted the twofold image of one man, that is to say, the back and the front, he falsely declaring and pretending that this was the actual shroud in which our Saviour Jesus Christ was enfolded in the tomb, and upon which the whole likeness of the Saviour had remained thus impressed together with the wounds which He bore." The antipope didn't revoke the permission to display the shroud.[38] He however instructed that the Shroud should not be treated as a relic and that "it can't be presented to the public as the actual shroud of Christ, but as an image or representation of it".[39][40] However, he prescribed so many indulgences to the pilgrims who wanted to venerate it (even as a representation) that the veneration continued, and obviously continues to this day.[41][42]
In 1418 the Shroud was moved to a castle at Montfort by Humbert of Villersexel, a Lord of Saint-Hippolyte-sur-Doubs. Later it was moved to Saint-Hippolyte-sur-Doubs. After he died, canons of Lirey fought through the courts to get the Shroud returned, but it was given to Humbert's wife who travelled with it to various places like Geneva and Liège. The widow sold the Shroud to Anne of Cyprus, Duchess of Savoy. It was a property of the House of Savoy until 1983. Beginning in 1471, the shroud was moved between many cities of Europe, being housed briefly in Vercelli, Turin, Ivrea, Susa, Chambery, Avigliano, Rivoli, and Pinerolo.
Later times
The history of the shroud from the 16th century is well documented. There is evidence that the Shroud which we have today is the same as the one which was in Turin in the 16th century. Many minature copies have been made since then.[43]
1532 Fire
In 1532 a fire broke out, which caused the silver reliquary containing the shroud to start melting. The heated silver that dripped onto the material led to the formation of a hole. Due to the fact that the shroud was folded, when it was unfolded, many more holes were visible instead of one. Since then, many people have attempted to repair it, Poor Clare Nuns being the first to do so.[44]
Calvin's remarks
John Calvin, in his Treatise on Relics, wrote of the Shroud:
How is it possible that those sacred historians, who carefully related all the miracles that took place at Christ’s death, should have omitted to mention one so remarkable as the likeness of the body of our Lord remaining on its wrapping sheet?
He also argued that in the John's gospel, there is a seperate cloth covering Jesus' head and that "either St. John is a liar," or else anyone who promotes such a shroud is "convicted of falsehood and deceit".[45] However, it might also be the case that God just magically merged the two clothes to test our faith.
Modern times
The Shroud remained the property of the House of Savoy until 1983, when it was given to the Holy See. In 1988, the Shroud was radiocarbon dated by three independent laboratories at Oxford, Zürich, and Tucson. Each laboratory was also given two control samples which dates were known from independent sources. All laboratories dated the control samples correctly and established that the Shroud dates from 1260–1390.[46]
On 11 April 1997 there was another fire, but the Shroud was quickly removed from its case. In 2002, the Holy See had the shroud restored. The cloth backing and thirty patches were removed which allowed the reverse side to be photographed for the first time in history.[47] The shroud has been publicly exhibited many times and will likely continue to be. Many copies of it are stored in different places in the world.
Dating of the shroud
The shroud was made available for proper scientific research, first in 1969 and 1973 by a commission appointed by Cardinal Michele Pellegrino, and then again in 1978 by the Shroud of Turin Research Project (STURP).[48][49] Even during the first examinations it was possible to use radiocarbon dating, but as much as 500 cm2 of material would have had to be taken, which would have caused unacceptable damage. In the 1970s, however, accelerator mass spectrometry was invented, which allowed a far smaller portion of the shroud (just a few square centimetres) to be taken for the dating.[50][51]
1988 radiocarbon dating
Arguably the best known study of the shroud was radiocarbon dating, which was carried out in 1988 by three independent laboratories at Oxford, Zurich and Arizona.[4] Before the study was conducted an appropriate protocol had to be written. The original protocol[53][54][note 4] stated that the carbon dating would be the only test performed[55]; control samples would be indistinguishable from the original shroud; the test would be performed by seven laboratories under the joint supervision of the Pontifical Academy of Science, the archbishop of Turin, and the British Museum; the sample offered to each laboratory would weight 28 mg, in total equivalent to 9 cm2 of cloth; the British Museum would manage the distribution of the samples, and that the laboratories would not communicate with each other.[56][57]
However, the Church was pissed off at some of those points (that were intended to make the research more reliable mostly the point about more laboratories examining the shroud), so they decided to change them a bit.[58] They decided that only three laboratories would do the testing and that everything would be supervised by the British Museum alone, headed by Michael Tite.[59] Their actions were heavily criticized.[60]
The blind trials were abandoned because of technical issues (the distinctive three-to-one herringbone twill weave of the shroud could not be matched in the controls).[4] This has, of course, caused lots of controversy.[61] However abandoning it was justified[4] and the "lack of blindness in the measurements is a rather insubstantial reason for disbelieving the result."[46]
Eventually, the 'final' protocol, with minor changes (like the weight of the samples given to each laboratory changed from 28 mg to 40 mg) was submitted.[62] The only major change was that all the samples would be sampled from a single portion of weave, which has also caused much controversy and ignited a debate.[63][64]
The four samples were[4]:
- (Sample I): A sample from the Shroud of Turin.
- (Sample II): A linen from a tomb excavated at Qasr Ibrîm in Nubia by Professor J. M. Plumley for the Egypt Exploration Society in 1964. On the basis of the Islamic embroidered pattern and Christian ink inscription, this linen could be dated to the eleventh to twelfth centuries CE.
- (Sample III): A linen from the collection of the Department of Egyptian Antiquities at the British Museum, associated with an early second century CE mummy of Cleopatra from Thebes. This linen was dated in the British Museum Research Laboratory using liquid scintillation counting, giving a radiocarbon age of 2,010 ± 80 yr before present.
- (Sample IV): threads removed from the cope of St Louis d'Anjou which is held in a chapel in the Basilica of Saint-Maximin, Var, France. On the basis of the stylistic details and the historical evidence the cope could be dated at 1290–1310 CE (reign of King Phillipe IV).
The mean radiocarbon dates were[4][65]:
| Dating | Sample I (Shroud) | Sample II | Sample III | Sample IV |
|---|---|---|---|---|
| Previous independent findings | 11th–12th centuries CE | 60 ± 80 BCE (2010 ± 80 BP)[note 5] | 1290–1310 CE (reign of King Phillipe IV) | |
| Arizona | 1304 ± 31 CE (646 ± 31 BP) | 1023 ± 32 CE (927 ± 32 BP) | 45 ± 46 BCE (1995 ± 46 BP) | 1228 ± 43 CE (722 ± 43 BP) |
| Oxford | 1200 ± 30 CE (750 ± 30 BP) | 1010 ± 30 CE (940 ± 30 BP) | 30 ± 35 BCE (1980 ± 35 BP) | 1195 ± 30 CE (755 ± 30 BP) |
| Zurich | 1274 ± 24 CE (676 ± 24 BP) | 1009 ± 23 CE (941 ± 30 BP) | 10 ± 30 CE (1940 ± 30 BP) | 1265 ± 34 CE (685 ± 34 BP) |
| Unweighted mean | 1259 ± 31 CE (691 ± 31 BP) | 1014 ± 5 (936 ± 5 BP) | 22 ± 16 BCE (1972 ± 16 BP) | 1229 ± 20 CE (721 ± 20 BP) |
| Weighted mean | 1261 ± 16 CE (689 ± 16 BP) | 1013 ± 16 CE (937 ± 16 BP) | 14 ± 20 BCE (1964 ± 20 BP) | 1226 ± 20 CE (724 ± 20 BP) |
As reported in Nature, Anthos Bray of the Instituto di Metrologia 'G. Colonetti', Turin, "confirmed that the results of the three laboratories were mutually compatible, and that, on the evidence submitted, none of the mean results was questionable."[4]
The medieval repair hypothesis
Various people who did not accept the results of the 1988 radiometric dating speculated that the sample that was dated came from some of the material that had been restored in the Middle Ages.[66]
A group of researchers from the University of Arizona, where one of the samples from the shroud was dated, performed an analysis of a part of the remaining material from the 1988 dating which originally weighed 12.39 mg and measured approximately 0.5 × 1 cm.[67] The weave structure of this particular fragment was consistent with the rest of the Shroud of Turin.[68] At low magnification (~30×) no coatings were visible, only usual types of surface debris one would expect. They have also confirmed that the sample was undoubtoubly linen: "The fiber content is linen, a bast fiber from the cultivated plant Linum usitatissimum[69] [...]. The diameters of ultimate fibers are consistent with surveys of Linum fiber widths[70][71]. Most of the fibers sampled have a diameter at the narrower end of the spectrum, at ~11 µm [...]. The reason for the narrow fiber diameter might be simply related to the initial harvesting and processing of linen fiber, or the age of the fibers. The fiber content of the textile from which this fragment was taken is undoubtedly linen." High magnification (320×) showed some expected debris as well. They also found that: "Under UV fluorescence, the fibers fluoresce uniformly and do not show any indication of an overall coating." They emphasise that all this debris would have been removed by "the various pretreatments used by Damon et al.[4] which included standard acid-base-acid treatments, and ultrasonic cleaning in water or detergents for different fractions" and that it was absolutely expected as the shroud was not kept in strict storage conditions like it is today. They also explain why the presence of some cotton fibers was not unusual. Finally, they state that: "the linen fibers observed in this study have only low levels of contamination by a few cotton fibers, consistent with the original observations on the shroud[72] that there are a few cotton fibers on (or in) the shroud".[67] They see no reason to doubt the representativeness of the 1988 sample.
Raymond Rogers
Others, including chemist Raymond Rogers,[73] who was also a member of the STURP team, have claimed that the sample which was dated showed signs of coating and dyeing (he claims this to be a result of medieval repairs). He told BBC News that “The radiocarbon sample has completely different chemical properties than the main part of the shroud relic.”[74] However, the team of scientists from Arizona have also concluded that:[67]
In addition, we find no evidence for any coatings or dyeing of the linen. Rogers (2005) suggested that the fibers in his study, which came from the Raes fragments (e.g. Heimberger 2009[75]), were coated with a Madder root dye (e.g. alizarin) and mordant. Linen does not readily accept dye, and any surface “coating” would be loosely adhered. We viewed a textile fragment dyed using traditional methods under UV light, and observed absolutely no similarity in UV fluorescence consistent with such a dye.
Additionally, both the cotton and the madder that were supposed to be present only around the dated sample have been found elsewhere on the shroud. Both were specifically reported by Walter McCrone, a member of the STURP team, chemist and leading expert in microscopy.[76] Furthermore, others including French textile expert Gabriel Vial and major pro-shroud author Ian Wilson[77] believe the cotton may be entirely incidental. They point out it could have come from the cotton gloves or clothing of the Turin’s cloth’s handlers or a similarly mundane source.
Rogers admits that the claim that the radiocarbon dated sample came from a medieval restoration is "as unlikely as it seems."[78] Indeed, textile experts specifically made efforts to select a site for taking the radiocarbon sample that was away from patches and seams.[4]
Technical problems
No examples of complex herringbone weave are known from the time of Jesus when, in any case, burial cloths tended to be of plain weave. In addition, Jewish burial practice utilized — and the Gospel of John specifically describes for Jesus — multiple burial wrappings wrapped tightly around the body with a separate cloth over the face:
“”Then cometh Simon Peter following him, and went into the sepulchre, and seeth the linen clothes lie, And the napkin, that was about his head, not lying with the linen clothes, but wrapped together in a place by itself…
|
| —John 20:6 |
This is particularly curious because the Christian relic industry has been so proficient at producing multiple Holy Foreskins and multiple complete sets of Jesus' baby teeth. It must be a 'miracle' that there is only one shroud!
Additionally, none of the gospels make any mention of any miraculous burial cloth after Jesus's resurrection. Curious that the most holy relic in all of Christendom doesn't even get so much as a word in its holy texts, isn't it?
There are also claims of "bloodstains" on the cloth, but Hebrew law dictated cleansing of the corpse before wrapping, and bodies don't bleed after death. Chemist Walter McCrone identified the substance as a "combination of red ochre and vermilion tempera paint." However only fibrils lifted from the shroud on sticky tape were tested for blood (this was done in order to avoid damaging the cloth). It should be pointed out though that the color observed was still an unfaded red, which would not be expected of real blood, which browns with age.
Also of note is the lack of wrap-around distortion. For a shroud that was supposedly wrapped around the body of Christ, the lack of wrap-around distortion across the torso, thighs and legs is striking. If the cloth were genuine, the face and body should be hardly recognizable as such, and should look something more like this. The figure does not satisfy the geometric conditions of contact formation.
Theories
Leonardo da Vinci
One proposed hypothesis is that Leonardo da Vinci was commissioned to replace an earlier version of the Shroud of Turin that was exposed as a poor fake, which had been bought by the Savoy family in 1453 only to disappear for 50 years.[79] Leonardo created a "new" Shroud of Turin using a camera obscura technique involving a mirror and lens, on cloth impregnated with silver sulphate in a darkened room. The techniques required to create primitive photographs had been available since the 11th century in the Book of Optics, by Ibn al-Haytham, or Alhazen as he was known in the west. The silver sulphate acted as a negative which propagated an image onto the cloth when exposed by light through the lens. Silver sulphate and the camera obscura technique were known in the 15th century. In January 2009, visual arts consultant Lillian Schwartz at the School of Visual Arts in New York compared the face on the Shroud of Turin with that of a portrait of Leonardo da Vinci, and found that they matched.[80][81]
Jacques de Molay
Christopher Knight and Robert Lomas in a 1997 book, The Second Messiah: Templars, the Turin Shroud and the Great Secret of Freemasonry, argue that the image on the Shroud is of Jaques de Molay, the last Grand Master of the Knights Templar. De Molay was tortured and burned at the stake in Paris on March 11, 1314 by orders of the French King Philip IV, Le Bel, when the king succeeded in having the Templar order disbanded by Pope Clement V, and attempted to seize all of the Templar assets. Using the radiocarbon evidence, flax from which the Shroud was made grew sometime between 1260 and 1390.[82] The Shroud is known to have been in France during the 14th century, lining up with de Molay's death in 1314. Knight and Lomas contend that the image which allegedly resembles that of de Molay was created between the time de Molay was tortured and burned at the stake, at the direction of the Chief Inquisitor of France, William Imbert. They speculate that his torture consisted of his arms and legs being nailed in a manner similar to crucifixion, possibly to a large wooden door. Then de Molay was laid on a length of linen cloth on a soft bed. The cloth was then pulled over his head and body and de Molay was left to recover from his wounds, before his later slow death by fire. Never mind the aforementioned problems with wraparound and body proportions; why let such minor inconveniences get in the way of a pet idea?
The authors based their image of de Molay on a 19th-century lithograph by French artist Chevauchet.
Gallery

Anarchist anti-Sindonology graffiti in Turin

Shroud advertising in Turin

A sucker praying before the fake cloth
See also
External links
- Time Magazine article on the science
- 'Jesus-era' burial shroud found - The weave is quite different from the Turin shroud.
- Scientist reproduces Turin shroud
- An extremely long and detailed essay from Sillybeliefs.com on the matter
- Sindonolical "research" website
Notes
- ↑ Its exact dimensions may vary between measurements as the shroud shrinks and stretches depending on various factors such as temperature.
- ↑ The latest one has been found in December 2021 in England.
- ↑ Irony alert! A medieval Catholic Bishop was more skeptical than current Christians (including Protestants) who have the benefit of scientific studies to actually back up d'Arcis' commendable lack of credulity…
- ↑ The so-called "Turin protocol".
- ↑ BP stands for Before Present. The year 1950 CE was chosen to be the 'Present' for many reasons.
References
- ↑ Shroud of Turin Encyclopaedia Britannica.
- ↑ 2.0 2.1 Poulle, Emmanuel (December 2009). "Les sources de l'histoire du linceul de Turin. Revue critique". Revue d'Histoire Ecclésiastique. 104 (3–4): 747–782. doi:10.1484/J.RHE.3.215.
- ↑ Joe Nickell, Inquest on the Shroud of Turin: Latest Scientific Findings, Prometheus Books, 1998, ISBN 9781573922722
- ↑ 4.0 4.1 4.2 4.3 4.4 4.5 4.6 4.7 4.8 4.9 Damon, P. E.; Donahue, D. J.; Gore, B. H.; Hatheway, A. L.; Jull, A. J. T.; Linick, T. W.; Sercel, P. J.; Toolin, L. J.; Bronk, C. R.; Hall, E. T.; Hedges, R. E. M.; Housley, R.; Law, I. A.; Perry, C.; Bonani, G.; Trumbore, S.; Woelfli, W.; Ambers, J. C.; Bowman, S. G. E.; Leese, M. N.; Tite, M. S. (16 February 1989). "Radiocarbon dating of the Shroud of Turin" (PDF). Nature. 337 (6208): 611–615. Bibcode:1989Natur.337..611D. doi:10.1038/337611a0. S2CID 27686437.
- ↑ „Despite our modern connotations dominated by Christianity, crucifixion was a common form of punishment that had a very long run in the ancient world. Tens of thousands of people were crucified throughout history by various regimes and rulers over a period that spanned a thousand years.”, A Concise and Shocking History of Crucifixion, Grant Piper, History of yesterday.
- ↑ "Pope Francis and the Shroud of Turin". National Catholic Reporter. 1 April 2013.
- ↑ Christian Science Monitor: Pope Benedict says Shroud of Turin authentic burial robe of Jesus. The Christian Science Monitor. 3 May 2010.
- ↑ See the Wikipedia article on Magisterium § Levels.
- ↑ Just look at their
blogpage. - ↑ Adler, Alan D. (2002). The orphaned manuscript: a gathering of publications on the Shroud of Turin. p. 103. ISBN 978-88-7402-003-4.
- ↑ Ball, P. (2008). "Material witness: Shrouded in mystery". Nature Materials. 7 (5): 349. Bibcode:2008NatMa...7..349B. doi:10.1038/nmat2170. PMID 18432204.
- ↑ Shroud of Turin Saved From Fire in Cathedral, The New York Times, April 12, 1997.
- ↑ Turin cinema museum. Archived 18 May 2007.
- ↑ Joe Nickell, Inquest on the Shroud of Turin: Latest Scientific Findings, Prometheus Books, 1998, ISBN 9781573922722
- ↑ Paul, Gregory S. (6 May 2010). "The Shroud of Turin: The Great Gothic Art Fraud". Secular Web Kiosk. Internet Infidels.
- ↑ Nickell, Joe (2018). "Crucifixion Evidence Debunks Turin 'Shroud'". [Skeptical Inquirer]. 42 (5): 7.
- ↑ A BPA Approach to the Shroud of Turin; by Matteo Borrini Ph.D. and Luigi Garlaschelli M.Sc. Journal of Forensic Sciences; Volume 64, Issue 1; January 2019; pp. 137–143; https://doi.org/10.1111/1556-4029.13867; view at https://onlinelibrary.wiley.com/doi/full/10.1111/1556-4029.13867
- ↑ New study suggests Shroud of Turin a fake, supporting study retracted, Phys.org, July 24, 2018.
- ↑ William Meacham, The Authentication of the Turin Shroud, An Issue in Archeological Epistemogy, Current Anthropology, 24, 3, 1983.
- ↑ Architecture for the shroud: relic and ritual in Turin by John Beldon Scott 2003 ISBN 0-226-74316-0 p. 26.
- ↑ Holy Shroud of Turin by Arthur Stapylton Barnes 2003 ISBN 0-7661-3425-3 p. 62.
- ↑ The International Standard Bible Encyclopedia: Q–Z by Geoffrey W. Bromiley 1995 ISBN 0-8028-3784-0 p. 495.
- ↑ William Meacham, "The Rape of the Turin Shroud", 2005, ISBN 1-4116-5769-1.
- ↑ Humber, Thomas: The Sacred Shroud. New York: Pocket Books, 1980. ISBN 0-671-41889-0.
- ↑ John 20, Blue Letter Bible.
- ↑ Gospel of the Hebrews, Early Christian Writings, translation by M.R. James.
- ↑ Geary, Patrick J. Furta Sacra: Thefts of Relics in the Central Middle Ages'.' Princeton University Press. c.1978.
- ↑ Wilson, Ian (1991), Holy Faces, Secret Places, Garden City: Doubleday, ISBN 0-385-26105-5
- ↑ Guscin, Mark (2016-02-08). The Tradition of the Image of Edessa. Cambridge Scholars Publishing. p. 137. ISBN 9781443888752.
- ↑ Averil Cameron, The Sceptic and the Shroud London: King's College Inaugural Lecture monograph (1980).
- ↑ Wilson, Ian.(1986)The Mysterious Shroud, Garden city, New York; Doubleday & Company. p. 115.
- ↑ The Shroud of Turin - Evidence it is authentic, newgeology.us.
- ↑ G.M.Rinaldi, "Il Codice Pray".
- ↑ Robert de Clari, The History Of Them That Took Constantinople, chapter 92, in Edward N. Stone, Three Old French Chronicles of the Crusades (University of Washington Publications in the Social Sciences, volume 10; 1939).
- ↑ Madden, Thomas, and Donald Queller. The Fourth Crusade: The Conquest of Constantinople. University of Pennsylvania Press, 1997. Second edition. p. 139.
- ↑ English translation of Memorandum contained in Ian Wilson, The Turin Shroud, pp. 230–235 (Victor Gollancz Ltd; 1978 ISBN 0-575-02483-6).
- ↑ Joe Nickell, Inquest on the Shroud of Turin: Latest Scientific Findings, Prometheus Books, 1998, ISBN 978-1-57392-272-2.
- ↑ Emmanuel Poulle, "Le linceul de Turin victime d'Ulysse Chevalier The Turin shroud victim of Ulysse Chevalier", Revue d'Histoire de l'Eglise de France, t. 92, 2006, 343–358.
- ↑ Cf. U. Chevalier (1903), Autour des origines du suaire de Lirey. Avec documents inédits (Bibliothèque liturgique, vol. 5) (Paris: Picard), p. 35 (letter J): "...nec alias solempnitates faciant que fieri solent in reliquiis ostendendis..." This stipulation was maintained in the final version of the letter (Reg. Avign. n° 261, folio 259), as cited in Pierre de Riedmatten (2008), Ulysse Chevalier pris en flagrant délit... (Retrieved from http://suaire-turin.fr/?page_id=176 Archived.
- ↑ Cf. U. Chevalier (1903), Autour des origines du suaire de Lirey. Avec documents inédits (Bibliothèque liturgique, vol. 5) (Paris: Picard), p. 37 (letter K): "...quod figuram seu representationem predictam non ostendunt ut verum sudarium ... sed tanquam figuram seu representationem dicti sudarii". Also cited in Pierre de Riedmatten (2008), Ulysse Chevalier pris en flagrant délit...
- ↑ "Cum ... ad ecclesiam ... causa devocionis eciam representacionis hujusmodi confluat non modica populi multitudo..." (U. Chevalier (1903), Autour des origines du suaire de Lirey. Avec documents inédits (Bibliothèque liturgique, vol. 5) (Paris: Picard), p. 38 (letter K)).
- ↑ "Skeptical Inquirer: Scandals and Follies of the 'Holy Shroud'". January 8, 2006.
- ↑ Herbermann, Charles, ed. (1913). "The Holy Shroud (of Turin)" . Catholic Encyclopedia. New York: Robert Appleton Company.
- ↑ Shroud of Turin Survives 2nd fire, its home chapel severely damaged!, 1997, Roanoke Times.
- ↑ John Calvin, 1543, Treatise on Relics, trans. by Count Valerian Krasinski, 1854; 2nd ed. Edinburgh: John Stone, Hunter, and Company, 1870; reprinted with an introduction by Joe Nickell, Amherst, N.Y.: Prometheus Books, 2009.
- ↑ 46.0 46.1 Gove, H E (1990). "Dating the Turin Shroud – An Assessment". Radiocarbon. 32: 87–92. doi:10.1017/S0033822200039990
- ↑ Restored, shroud.com, Retrieved 27 December 2021.
- ↑ La S. Sindone- Ricerche e studi della Commissione di Esperti nominata dall' Arcivescovo di Torino, Cardinal Michele Pellegrino, nel 1969 Supplemento Rivista Diocesana Torinese (1976).
- ↑ The orphaned manuscript: a gathering of publications on the Shroud of Turin, Alan D. Adler 2002 ISBN 88-7402-003-1 pp. 93–94.
- ↑ Muller, R. A. (1977). "Radioisotope Dating with a Cyclotron". Science. 196 (4289): 489–494. Bibcode:1977Sci...196..489M. doi:10.1126/science.196.4289.489. PMID 17837065.
- ↑ Harbottle, Garman; Heino, Walden (1989). "Carbon Dating the Shroud of Turin". Archaeological Chemistry IV. Advances in Chemistry. 220. pp. 313–20. doi:10.1021/ba-1988-0220.ch016. ISBN 0-8412-1449-2.
- ↑ Math, Science, and Philosophy for the Folks in the Pews: Chapter One. The Mass Spectrometer and the Age of the Earth by Warren F. O'Rourke
- ↑ Jennings, P. – Art Historian Not Convinced the Shroud is a Fake – Our Sunday Visitor, Oct. 23, 1988, p. 24.
- ↑ Jennings, P. "Shroud of Turin to Undergo Radiocarbon Testing" Our Sunday Visitor, Feb. 14, 1988, p. 3.
- ↑ Meachum, W. (1986). "Radiocarbon Measurement and the Age of the Turin Shroud: Possibilities and Uncertainties". Shroud Spectrum International. 19.
- ↑ Prestipino, C.A. "Il carbonio-14 e la S. Sindone" Didattica delle Scienze, No. 147, Aprile 1990, pp. 16–28.
- ↑ Prestipino, C.A. "Replica – Sulla datazione del carbonio-14" Didattica delle Scienze, No. 149, Ottobre 1990, pp. 60–62.
- ↑ Anderson, I. "Vatican undermines tests on Turin shroud" New Scientist, January 21, 1988, p. 22.
- ↑ Van Oosterwyck-Gastuche, M.-C. "Age medieval du Linceul de Turin: Les étapes d'un bluff technologique" Science et Foi- Les Nouvelles du CESHE (Cercle Scientifique et Historique, Tournai, Belgique), No. 19, 1eme trimestre 1991, pp. 11–29.
- ↑ Raloff, J. "Controversy Builds as Shroud Tests Near" Science News, April 16, 1988, p. 245.
- ↑ Gove, H. E. (1988). "Radiocarbon-dating the shroud". Nature. 333 (6169): 110. Bibcode:1988Natur.333..110G. doi:10.1038/333110c0.
- ↑ Tite, M. S. (1988). "Turin Shroud". Nature. 332 (6164): 482. Bibcode:1988Natur.332..482T. doi:10.1038/332482c0. PMID 3357508.
- ↑ Marino, J.G., and Benford, M.S. (2000). "Evidence for the Skewing of the C-14 Dating of the Shroud of Turin Due to Repairs".
- ↑ Marino, J. "The Shroud of Turin and the Carbon 14 Controversy" Fidelity, Feb. 1989, pp. 36–45.
- ↑ Radiocarbon Dating of the Shroud of Turin, shroud.com.
- ↑ New test dates Shroud of Turin to era of Christ, USA TODAY.
- ↑ 67.0 67.1 67.2 Freer-Waters, R., & Timothy Jull, A. (2010). "Investigating a Dated Piece of the Shroud of Turin". Radiocarbon, 52(4), 1521-1527. doi:10.1017/S0033822200056277.
- ↑ Tyrer J. 1981. Looking at the Turin Shroud as a textile. Textile Horizons. December, 1981. p 20–3.
- ↑ Florian ME. 1990. Plant anatomy: an illustrated aid to identification. In: Florian ME, Kronkright DP, Norton RE, editors. The Conservation of Artifacts Made from Plant Materials. Los Angeles: Getty Conservation Institute. p 1–27
- ↑ Catling D, Grayson J. 1982. Identification of Vegetable Fibers. New York: Chapman and Hall.
- ↑ Garside P, Wyeth P. 2006. Identification of cellulosic fibers by FTIR spectroscopy: differentiation of flax and hemp by polarized ATR FTIR. Studies in Conservation, 51(3):205–11.
- ↑ Raes G. 1976. Rapport d’Analise. La S. Sindone, supplement to Rivista Diocesana Torinese. p 79–83.
- ↑ Rogers RN. 2005. Studies on the radiocarbon sample from the Shroud of Turin. Thermochimica Acta 425: 189–94. doi:10.1016/j.tca.2004.09.029
- ↑ Turin shroud 'older than thought', BBC News, 31 January, 2005.
- ↑ Heimberger Th. 2009. Cotton in Raes/radiocarbon threads: the example of Raes #7. Accessed 27 January 2022.
- ↑ McCrone, Walter. 1996. Judgment Day for the Turin Shroud. Chicago: Microscope Publications., p. 85, ISBN 1573926795.
- ↑ Wilson, Ian. 1998. The Blood and the Shroud. New York: The Free Press. p. 71, 92. ISBN 9780297841494.
- ↑ Turin shroud older than thought, News in science, Rossella Lorenzi, 26 January 2005.
- ↑ Prince, Clive & Picknett, Lynn. Turin Shroud: How Leonardo Da Vinci Fooled History, New York: Time Warner, 2006.
- ↑ Turin Shroud may have been faked by [Leonardo]
- ↑ http://www.telegraph.co.uk/news/newstopics/religion/5706640/Turin-Shroud-is-face-of-Leonardo-da-Vinci.html
- ↑ http://www.shroud.com/nature.htm